本文へスキップ

市川・浦安の不動産情報 住宅・マンション・土地のご相談は有限会社わかば土地へ

電話でのお問い合わせは047-324-6032

〒272-0826 千葉県市川市真間1-15-12

物件詳細 売地detail

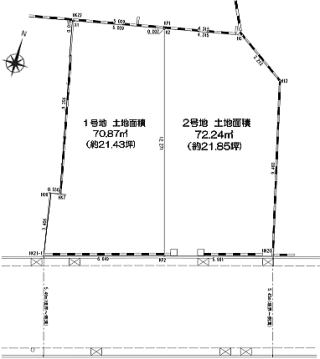
江戸川区東小岩6丁目(住宅用地 全2区画)

小岩駅徒歩8分、南道路の陽だまり2区画。現況は更地 建築条件なしで自由設計。

物件写真

外観 内装1

物件概要

価格 @62,990,000~A64,990,000円 最適用途 住宅用地
所在地 江戸川区東小岩6丁目
最寄駅 総武線小岩駅徒歩8分
敷地面積 @70.87~A72.24u  その他私道面積 なし
都市計画 市街化区域 用途地域 1種住居地域
土地権利  所有権  地目  宅地
その他法令上の制限 準防火 3種高度 最低敷地面積:70u 航空法 景観法  
建蔽率 60% 指定容積率 300%
接道状況 南5.45m公道 地勢 平坦地
設備 公営水道・東電・都市ガス・本下水 建築条件 なし
現況 更地 取引態様 媒介 
備考 
  • 区立小岩小学校:700m 区立第一中学校:800m