本文へスキップ

市川・浦安の不動産情報 住宅・マンション・土地のご相談は有限会社わかば土地へ

電話でのお問い合わせは047-324-6032

〒272-0826 千葉県市川市真間1-15-12

物件詳細 売地detail

江戸川区篠崎町7丁目(店舗用地・事業用地)

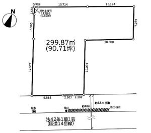
京葉道路沿いの視認性に優れた商業用地。篠崎駅徒歩4分の利便性と、ロードサイドならではの集客力を兼ね備えています。周辺には飲食店やコンビニが並び、安定した人通り・車通りがあるエリアです。敷地は、299.87uの更地、建築条件なし。間口11.4mを確保しており、店舗・事務所・クリニックなど多様な用途に対応可能。土地区画整理事業区域内につき、将来的な街並み整備も期待できます。

物件写真

外観 内装1 外観 内装1 外観 内装1

物件概要

価格 158,000,000円 最適用途 店舗用地・事業用地
所在地 江戸川区篠崎町7丁目
最寄駅 都営新宿線篠崎駅徒歩4分
敷地面積 299.87u  その他私道面積 なし
都市計画 市街化区域 用途地域 準工業地域
土地権利  所有権  地目  宅地
その他法令上の制限 準防火 2種高度 江戸川東部篠崎付近土地区画整理事業 要都計法53条許可 
都市計画公園 航空法 道の景観軸(京葉道路)  最低敷地面積:70u
建蔽率 60% 指定容積率 200%
接道状況 南東約40m公道 地勢 平坦地
設備 公営水道・東電・都市ガス・本下水 建築条件 なし
現況 更地 取引態様 媒介 
備考 
  • 土地区画整理事業地内に付き建物の構造・規模に制限があります。詳しくはお問い合わせ下さい。
  • 地上権の設定あり(鉄道敷地)。
  • 隣地からの越境あり(雨樋・集水器の一部)。